Refine Search

14400 Willow Brook Rd, South Beloit, IL 61080

$110,200
  • 14400 Willow Brook Rd, South Beloit, IL 61080 Main Photo

1 Total Photos [Click to View All]

Featured Listing AVAILABLE
LOT SIZE 5.500 acres MLS#42936050
STATUSAVAILABLE PROPERTY TYPELand - Commercial

Property Description

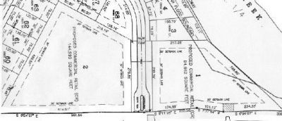
(2) COMMERCIAL RETAIL OUTLOTS AVAILABLE WITH COMBINED 1,000 FEET OF FRONTAGE ON WILLOWBROOK ROAD. OFFERING INCLUDES 5948 PRAIRIE COMMON LN (04-16-226-001; 3.34 ACRES) AND 14400 WILLOWBROOK RD (04-16-225-003; 2.17 ACRES) LOTS TO BE SOLD TOGETHER.

14400 Willow Brook Rd | MLS# 42936050

This land located at 14400 Willow Brook Rd, South Beloit, IL 61080 is currently listed for sale by Dickerson Nieman Commercial, with an asking price of $110,200. The property has approximately 5.50 Acres. Search South Beloit real estate on markpayne.dickersonnieman.com today.

Property Features

Property Type: Land - Commercial
Lot Size: 5.50 Acres

Feature Descriptions

APN: 04-16-225-003
Days on Site: 239
SQ FT Available: 240015.8204

Listed By / Shown By

Listed By

Agency Name: Dickerson Nieman Commercial

agent picture

Shown By

Agent Name: Mark Payne
Agent Phone: (815) 978-0788

Estimate Your Payment

Estimated Payment

$ 277.40 per month $245.26 Principal & Interest $0.00 Property Tax (data not provided by mls) $32.14 Homeowner's Insurance

Change Payment Information

%
years/fixed
yearly
yearly (est.)
(Payments are an estimate and may vary by lender)

Login to My Homefinder

Pixel